大津町杉水売り土地(173坪)のご紹介


大津町杉水 桜丘団地内売り土地
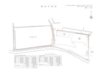
「大津町杉水土地」:菊池郡大津町エリアの新居にピッタリで、非常におすすめです。土地面積は572㎡(公簿)となっています。売地をお探しの方に是非見て頂きたいイチオシの土地です。本田技研やソニーの周辺なので、車をよく使う方にもおすすめです。
詳細は↓↓↓↓


00件
最近見た物件
00件
検討リスト
熊本市東区・中央区の不動産|株式会社しとうホームズ > 株式会社しとうホームズのスタッフブログ記事一覧 > 大津町杉水 桜丘団地内売り土地(173坪)のご紹介


大津町杉水 桜丘団地内売り土地
「大津町杉水土地」:菊池郡大津町エリアの新居にピッタリで、非常におすすめです。土地面積は572㎡(公簿)となっています。売地をお探しの方に是非見て頂きたいイチオシの土地です。本田技研やソニーの周辺なので、車をよく使う方にもおすすめです。
詳細は↓↓↓↓


件
件



